


济南轨道交通3号线二期实现“长轨通”
6月5日,随着临机接收井至机遥区间最后一对钢轨接头焊接完成,至此滩头至机场南站(文中均为工程名)钢轨完成无缝连接,标志着济南轨道交通3号线二期工程顺利实现“长轨通”,向着年底高质量高标准建成通车目标又近一步。
3号线二期铺轨工作于2022年11月进场施工,长度约24公里,先后建立5个铺轨基地,采用“机铺+人工散铺”相结合的方式,进行分段施工、分期施工。

截至目前,3号线二期工程5座车站主体结构封顶,3座车站机电、弱电、装修以及联调联试工作基本完成,2座车站已全面进行站后施工,全线盾构区间实现双线贯通,明挖区间主体结构封顶,土建子单位全部验收通过,预计6月底可实现电通。
4号线奥体中心换乘站顺利封底

6月6日,济南轨道交通4号线奥体中心换乘站顺利封底,车站顶部距离经十路仅有3.8米,是山东首个超浅埋全暗挖地铁车站,也是山东首次采用平顶结构“逆向建造”的车站。
6号线王舍人站封顶,地面交通将分段恢复
6月7日,在济南工业北路与凤凰路交叉口北侧,随着地铁6号线王舍人站建设的进展,车站主体封顶以后,车站上方原来部分施工区域的道路进行了重建,并铺设沥青路面,施划了交通标识线。下一步将分段恢复交通,该路段因施工带来的交通拥堵将得到有效缓解。

据了解,王舍人站全长515.3米,为济南轨道交通6号线全线双层长度最大的地铁车站,该站为地下两层岛式车站,车站标准段宽21.3米。
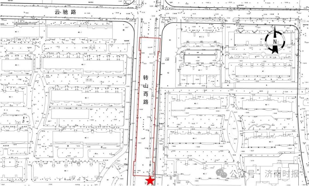
7号线一期工程牧牛山公园站有新进展
6月5日,济南城市轨道交通7号线一期工程——牧牛山公园站(地下站主体)建设用地规划许可批前公示。

公示期限:2024年6月5日至2024年6月11日
项目名称:济南城市轨道交通7号线一期工程——牧牛山公园站(地下站主体)
用地单位:济南轨道交通集团建设投资有限公司
用地位置:历下区云驰路与转山西路交叉口南侧
用地性质:城市轨道交通用地
用地面积:约0.40公顷(以实地测量为准)

8号线安潘区间有新进展
4日,8号线安莉芳路站至潘王路站区间最后一联现浇梁浇筑完成。8号线共有连续梁38座,目前已完成浇筑23座。
来源:新黄河客户端、济南轨道交通、济南市自然资源和规划局网站